Ο κυκλώνας Ουμπέρτο ενισχύθηκε στην Κατηγορία 5 στον Ατλαντικό - Ένα ακόμη σύστημα καταιγίδων σαρώνει την Καραϊβική

Ο κυκλώνας Ουμπέρτο ενισχύθηκε στην Κατηγορία 5 στον Ατλαντικό - Ένα ακόμη σύστημα καταιγίδων σαρώνει την Καραϊβική

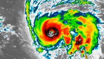
Ο κυκλώνας βρίσκεται περίπου 563 χιλιόμετρα βορειοανατολικά των Υπήνεμων Νήσων, συνοδευόμενος από ανέμους που πνέουν με ταχύτητα έως και 257 χλμ/ώρα

Ο κυκλώνας Ουμπέρτο ενισχύθηκε στην Κατηγορία 5 στον Ατλαντικό - Ένα ακόμη σύστημα καταιγίδων σαρώνει την Καραϊβική
Ο κυκλώνας Ουμπέρτο ενισχύθηκε στην Κατηγορία 5 – στο ανώτατο επίπεδο της πεντάβαθμης κλίμακας Σαφίρ-Σίμσον – και προβλέπεται πως θα ισχυροποιηθεί τις επόμενες ώρες, προειδοποίησε το εθνικό κέντρο παρακολούθησης κυκλώνων/τυφώνων (National Hurricane Center / NHC) των Ηνωμένων Πολιτειών.

Ο κυκλώνας βρίσκεται περίπου 563 χιλιόμετρα βορειοανατολικά των Υπήνεμων Νήσων, συνοδευόμενος από ανέμους που πνέουν με ταχύτητα έως και 257 χλμ/ώρα.



Ο κυκλώνας Ουμπέρτο αναμένεται να συνεχίσει την πορεία του με αμείωτη ένταση τις επόμενες ημέρες, προβλέπει το NHC, συμπληρώνοντας πως τα κύματα που δημιουργεί θα επηρεάσουν τμήματα των Υπήνεμων Νήσων, των Παρθένων Νήσων, του Πουέρτο Ρίκο και των Βερμούδων.



Δεν εκδόθηκαν άμεσες προειδοποιήσεις ή επιφυλάξεις για τις ΗΠΑ από το Εθνικό Κέντρο Τυφώνων, αλλά όσοι βρίσκονται στις Βερμούδες καλούνται να παρακολουθούν την πρόοδο του.

Κλείσιμο


Η καταιγίδα είναι ένα από τα δύο συστήματα που στροβιλίζονται πάνω από τον δυτικό Ατλαντικό και θα μπορούσαν ενδεχομένως να προκαλέσουν κάποιες επιπτώσεις σε τμήματα της νοτιοανατολικής ακτής των ΗΠΑ, από τη Φλόριντα έως τη Βόρεια Καρολίνα, δήλωσε ο διευθυντής του κέντρου τυφώνων με έδρα το Μαϊάμι, Μάικλ Μπρέναν.

Ένα ακόμη σύστημα καταιγίδων σαρώνει την Καραϊβική

Το κέντρο τυφώνων παρακολουθεί επίσης στενά ένα δεύτερο σύστημα καταιγίδων πάνω από τη βορειοανατολική Καραϊβική στον Ατλαντικό, κοντά στον κυκλώνα Ουμπέρτο.

Πρόκειται για την «Tropical Depression Nine» (Τροπική Ύφεση 9), η οποία είναι η προσωρινή ονομασία που δίνει το Εθνικό Κέντρο Τυφώνων των ΗΠΑ (NHC) σε μια νέα τροπική διαταραχή, πριν αναβαθμιστεί σε τροπική καταιγίδα και πάρει επίσημο όνομα από τη λίστα των τροπικών κυκλώνων.

Το σύστημα αναμένεται να φέρει «σημαντικές βροχοπτώσεις» σε τμήματα της Κούβας και των Μπαχαμών. Θα μπορούσαν να δουν έως και 20 εκατοστά βροχής, ανέφερε το κέντρο τυφώνων. Πιθανότατα θα προκαλέσει επίσης ξαφνικές και αστικές πλημμύρες, με την πιθανότητα κατολισθήσεων λάσπης σε υψηλότερα εδάφη σε όλη την ανατολική Κούβα.

Το σύστημα αναμένεται «να κινηθεί στις κεντρικές και βορειοδυτικές Μπαχάμες αυτό το Σαββατοκύριακο και να πλησιάσει τις νοτιοανατολικές ακτές των ΗΠΑ στις αρχές της επόμενης εβδομάδας», δήλωσε το κέντρο τυφώνων το Σάββατο.




Ειδήσεις σήμερα:

Οι καθυστερήσεις στο «Ελ. Βενιζέλος» και τα αιτήματα των ελεγκτών εναέριας κυκλοφορίας - Παίρνουν ακόμη και πάνω από €120.000 ετησίως, λέει ο Δήμας

Καπετάν Κώττας: Ο Παύλος Μελάς, η προδοσία και το τραγικό τέλος του Κώττα

Με «βαρύ» παρελθόν ένας εκ των συλληφθέντων του κυκλώματος ναρκωτικών με κέρδη 8 εκατ. ευρώ - Είχε πυροβολήσει αστυνομικό το 2012
Ακολουθήστε το protothema.gr στο Google News και μάθετε πρώτοι όλες τις ειδήσεις

Δείτε όλες τις τελευταίες Ειδήσεις από την Ελλάδα και τον Κόσμο, τη στιγμή που συμβαίνουν, στο Protothema.gr

ΡΟΗ ΕΙΔΗΣΕΩΝ

Ειδήσεις Δημοφιλή Σχολιασμένα
δειτε ολες τις ειδησεις

ΤΑ ΠΙΟ ΔΗΜΟΦΙΛΗ

Best of Network

Δείτε Επίσης