Ενισχύεται ο κυκλώνας Ουμπέρτο στον κεντρικό Ατλαντικό Ωκεανό - Ποια νησιά θα επηρεαστούν τις επόμενες ώρες

Ενισχύεται ο κυκλώνας Ουμπέρτο στον κεντρικό Ατλαντικό Ωκεανό - Ποια νησιά θα επηρεαστούν τις επόμενες ώρες

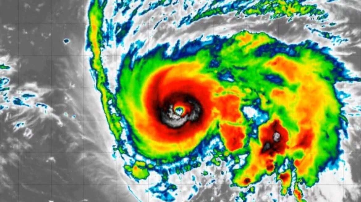
Ο κυκλώνας βρίσκεται περίπου 690 χιλιόμετρα βορειοανατολικά των Υπήνεμων Νήσων, συνοδευόμενος από ανέμους που πνέουν με ταχύτητα έως και 185 χλμ/ώρα

Ενισχύεται ο κυκλώνας Ουμπέρτο στον κεντρικό Ατλαντικό Ωκεανό - Ποια νησιά θα επηρεαστούν τις επόμενες ώρες
Ο κυκλώνας Ουμπέρτο ενισχύθηκε ταχύτατα στην Κατηγορία 3 της πεντάβαθμης κλίμακας Σαφίρ-Σίμσον και προβλέπεται πως θα ενισχυθεί περαιτέρω στον κεντρικό Ατλαντικό Ωκεανό τις επόμενες ημέρες, προειδοποίησε χθες Παρασκευή το εθνικό κέντρο παρακολούθησης κυκλώνων/τυφώνων (National Hurricane Center / NHC) των Ηνωμένων Πολιτειών.



Ο κυκλώνας βρίσκεται περίπου 690 χιλιόμετρα βορειοανατολικά των Υπήνεμων Νήσων, συνοδευόμενος από ανέμους που πνέουν με ταχύτητα έως και 185 χλμ/ώρα.

«Τα κύματα που δημιουργούνται από τον Ουμπέρτο θα αρχίσουν να επηρεάζουν τμήματα των Υπήνεμων Νήσων, των Παρθένων Νήσων, του Πουέρτο Ρίκο και των Βερμούδων το σαββατοκύριακο», αναφέρει η ενημέρωση από το NHC.






Ειδήσεις σήμερα:

Η εισαγγελέας Πρωτοδικών Λάρισας έκανε δεκτό το αίτημα εκταφής του γιου του Πάνου Ρούτσι που σκοτώθηκε στα Τέμπη

Διαρρήκτης «μπούκαρε» σε σπίτι στα Άνω Πατήσια μπροστά σε τηλεοπτικό συνεργείο - Δείτε βίντεο

Μητσοτάκης στο Bloomberg: Από 1η Ιανουαρίου οι πολίτες θα δουν αύξηση στα εισοδήματά τους
Ακολουθήστε το protothema.gr στο Google News και μάθετε πρώτοι όλες τις ειδήσεις

Δείτε όλες τις τελευταίες Ειδήσεις από την Ελλάδα και τον Κόσμο, τη στιγμή που συμβαίνουν, στο Protothema.gr

ΡΟΗ ΕΙΔΗΣΕΩΝ

Ειδήσεις Δημοφιλή Σχολιασμένα
δειτε ολες τις ειδησεις

ΤΑ ΠΙΟ ΔΗΜΟΦΙΛΗ

Best of Network

Δείτε Επίσης