Η καταιγίδα Μελίσα έγινε κυκλώνας, μετά την Αϊτή απειλεί την Τζαμάικα

Η καταιγίδα Μελίσα έγινε κυκλώνας, μετά την Αϊτή απειλεί την Τζαμάικα

Το ακραίο φαινόμενο στοίχισε τη ζωή σε τρεις ανθρώπους στην Αϊτή κι άλλον έναν στη γειτονική Δομινικανή Δημοκρατία, όπου κηρύχθηκε αγνοούμενος έφηβος, κατά τις αρχές των δυο χωρών

Η καταιγίδα Μελίσα έγινε κυκλώνας, μετά την Αϊτή απειλεί την Τζαμάικα
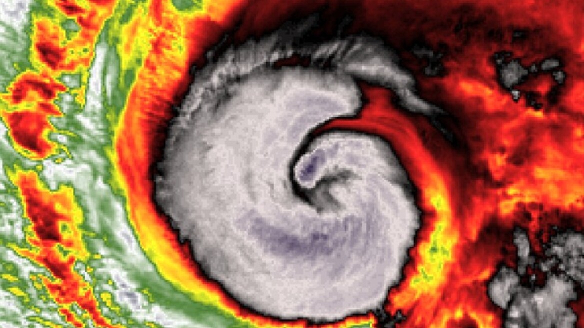
Η τροπική καταιγίδα Μελίσα, η οποία στοίχισε ήδη τη ζωή σε τουλάχιστον τέσσερις ανθρώπους, όλους στη νήσο Εσπανιόλα στην Καραϊβική, έγινε κυκλώνας χθες Σάββατο κι αναμένεται να ενισχυθεί περαιτέρω καθώς κινείται προς την Τζαμάικα, σύμφωνα με νεότερη πρόβλεψη του αμερικανικού κέντρου κυκλώνων και τυφώνων (NHC).

«Η Μελίσα έγινε κυκλώνας» με ανέμους «μέγιστης ταχύτητας 120 χιλιομέτρων ανά ώρα», ανέφερε το NHC μέσω X.

Προειδοποίησε ότι το φαινόμενο είναι πιθανό να παρουσιάσει «ταχεία» ενίσχυση και να γίνει «μείζων κυκλώνας» σήμερα.

Το ακραίο φαινόμενο στοίχισε τη ζωή σε τρεις ανθρώπους στην Αϊτή κι άλλον έναν στη γειτονική Δομινικανή Δημοκρατία, όπου κηρύχθηκε αγνοούμενος έφηβος, κατά τις αρχές των δυο χωρών.

«Το νερό πλημμύρισε πάνω από το μισό σπίτι», είπε η Ανχελίτα Φρανσίσκο, 66χρονη νοικοκυρά που ζει στο Σάντο Ντομίνγκο, την πρωτεύουσα της Δομινικανής Δημοκρατίας. «Νιώθαμε ανίσχυροι, δεν υπήρχε τίποτα που μπορούσαμε να κάνουμε, πέρα από το να φύγουμε, να τα αφήσουμε όλα πίσω», πρόσθεσε με λυγμούς.

Εννιά από τις 31 επαρχίες της χώρας κηρύχτηκαν σε κόκκινο συναγερμό εξαιτίας του κινδύνου ξαφνικών πλημμυρών και κατολισθήσεων.

Η Μελίσα κινείται προς την κατεύθυνση της Τζαμάικας. Αναμένεται να πλήξει τη νήσο για μέρες, προτού κινηθεί προς βορρά κι απειλήσει την Κούβα.

Το NHC προβλέπει σφοδρούς ανέμους, ισχυρές βροχές, ξαφνικές πλημμύρες και κατολισθήσεις στην Τζαμάικα και στην Αϊτή.

Κλείσιμο
Ο πληθυσμός της νοτιοδυτικής Αϊτής πρέπει να αρχίσει «αμέσως τις απαραίτητες προετοιμασίες για να προστατεύσει τη ζωή και το βιός του», προειδοποίησε το κέντρο, σημειώνοντας ότι ο κυκλώνας μπορεί να «προκαλέσει μεγάλες ζημιές σε υποδομές και δυνητικά να απομονώσει κοινότητες για παρατεταμένη περίοδο».

Ο τζαμαϊκανός πρωθυπουργός Άντριου Χόλνες κάλεσε προχθές Παρασκευή τους κατοίκους περιοχών όπου υπάρχει κίνδυνος πλημμυρών να παρακολουθούν συνεχώς τα προειδοποιητικά δελτία και να είναι προετοιμασμένοι να εγκαταλείψουν εσπευσμένα τα σπίτια τους.

Οι βροχές που οφείλονται στη Μελίσα ήδη βύθισαν κάτω από νερά δρόμους στην πρωτεύουσα Κίνγκστον, κατά οπτικό υλικό που μεταδόθηκε από ΜΜΕ της Τζαμάικας.

Η Μελίσα ήταν η 13η τροπική καταιγίδα της περιόδου εκδήλωσης φαινομένων αυτής της φύσης (αρχές Ιουνίου - τέλη Νοεμβρίου) στον Ατλαντικό.

Ο προηγούμενος ισχυρός κυκλώνας που είχε πλήξει την Τζαμάικα ήταν ο Μπέριλ, στις αρχές του Ιουλίου του 2024. Απρόσμενα ισχυρός για τον συγκεκριμένο μήνα της περιόδου, άφησε πίσω τουλάχιστον τέσσερις νεκρούς στη νήσο.
Ακολουθήστε το protothema.gr στο Google News και μάθετε πρώτοι όλες τις ειδήσεις

Δείτε όλες τις τελευταίες Ειδήσεις από την Ελλάδα και τον Κόσμο, τη στιγμή που συμβαίνουν, στο Protothema.gr

ΡΟΗ ΕΙΔΗΣΕΩΝ

Ειδήσεις Δημοφιλή Σχολιασμένα
δειτε ολες τις ειδησεις

ΤΑ ΠΙΟ ΔΗΜΟΦΙΛΗ

Best of Network

Δείτε Επίσης