«Ιρμα-γεδδών»: Ο τυφώνας ισοπέδωσε δύο νησιά της Καραϊβικής - Οχτώ οι νεκροί

«Ιρμα-γεδδών»: Ο τυφώνας ισοπέδωσε δύο νησιά της Καραϊβικής - Οχτώ οι νεκροί

Καταστράφηκε το 95% του Αγ. Μαρτίνου και το 90% της Μπαρμπούντα - Ανάμεσα στα θύματα και ένα παιδί 2,5 ετών - Σαρώθηκε το Πουέρτο Ρίκο, ακολουθούν Δομινικανή Δημοκρατία και Αϊτή

«Ιρμα-γεδδών»: Ο τυφώνας ισοπέδωσε δύο νησιά της Καραϊβικής - Οχτώ οι νεκροί
Ανευ προηγουμένου είναι η κατάσταση που αντιμετωπίζουν οι κάτοικοι της Κεντρικής και του νότιου τμήματος της Βόρειας Αμερικής, η οποία για πρώτη φορά εδώ και επτά χρόνια απειλείται από τρεις συνεχόμενους τυφώνες.

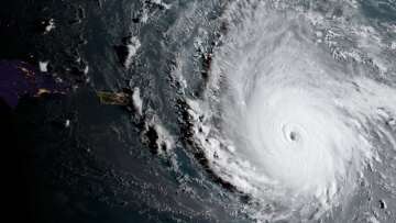
Το πρώτο χτύπημα έγινε από τον τυφώνα Ίρμα, ο οποίος έχει χαρακτηριστεί από τους ειδικούς ως ο χειρότερος στην ιστορία του Ατλαντικού, καθώς στο πέρασμά του «εξαφάνισε» δύο νησιά της Καραϊβικής. Όπως ανακοίνωσαν οι αρχές στον Άγιο Μαρτίνο η καταστροφή αγγίζει το 95% και στην Μπαρμπούντα, το πρώτο νησί στο οποίο προσγειώθηκε η Ίρμα, εκτιμάται ότι έχει καταστραφεί το 90% του νησιού με το το 60% των 1.400 κατοίκων είναι πλέον άστεγο.

Ο πρώτος απολογισμός κάνει λόγο επίσης για τουλάχιστον οχτώ νεκρούς με τους έξι από αυτούς  στο γαλλικό τμήμα του Αγίου Μαρτίνου σύμφωνα με τον Έρικ Μερ, το νομάρχη της Γουαδελούπης. Ανάμεσά στα θύματα και ένα παιδί ηλικίας 2,5 ετών που σκοτώθηκε στο νησί Μπαρμπούντα ενώ η οικογένειά του επιχειρούσε να φύγει από το κατεστραμμένο σπίτι της. Το τελευταίο θύμα καταγράφηκε στο νησί Ανγκίλα, αν και όλοι εκφράζουν φόβοι ότι ο αριθμός τους αναμένεται να αυξηθεί τις επόμενες ώρες καθώς θα εξελίσσεται η επιχείρηση αποκατάστασης των ζημιών.

«Πρόκειται για μια τεράστια καταστροφή. Το 95% του νησιού είναι κατεστραμμένο. Έχω υποστεί σοκ. Είναι συνταρακτικό», δήλωσε ο πρόεδρος του τοπικού αυτοδιοικητικού συμβουλίου στον Άγιο Μαρτίνο.

Κλείσιμο
Ο ίδιος απηύθυνε έκκληση να σταλούν «επαρκείς ενισχύσεις» από τη γαλλική κυβέρνηση «για να απομακρυνθούν όλοι όσοι μπορούν να απομακρυνθούν», καθώς αν το νησί χτυπηθεί από έναν νέο κυκλώνα το Σάββατο θα είναι «αδύνατον» να αντιμετωπιστεί η κατάσταση και τότε «δεν θα μετράμε τους νεκρούς, αλλά τους ζωντανούς», πρόσθεσε χαρακτηριστικά ο Γκιμπς.

Σύμφωνα με τα Ηνωμένα Έθνη από τον τυφώνα Ίρμα αναμένεται να επηρεαστούν συνολικά 37 εκατομμύρια άνθρωποι.

Βαρύ το πλήγμα στο Πούερτο Ρίκο

Σαρωτικό ήταν το πέρασμα του τυφώνα Ίρμα και από το Πουέρτο Ρίκο καθώς, σύμφωνα με τις αρχές, περισσότερο από το μισό νησί είναι χωρίς ρεύμα. Συνολικά 900.000 Πορτορικανοί είναι στο σκοτάδι ενώ 50.000 κάτοικοι δεν έχουν πρόσβαση σε νερό. Δεκατέσσερα νοσοκομεία βασίζονται μόνο σε γεννήτριες για τη λειτουργία τους ενώ οι δρόμοι έχουν γεμίσει με κολώνες που έχουν πέσει από τους ισχυρούς ανέμους.



Η Ίρμα είναι ο χειρότερος τυφώνας που έχει χτυπήσει το νησί από το 1928 όταν τότε ο τυφώνας Σαν Φελίπε προκάλεσε το θάνατο 2.700 ανθρώπων.

Αφού σάρωσε το Πουέρτο Ρίκο ο τυφώνας Ίρμα πλέον συνεχίζει το καταστροφικό του ταξίδι στην Δομινικανή Δημοκρατία και την Αϊτή. Το απόγευμα της Πέμπτης (ώρα Ελλάδος) αναμένεται να περάσει από τα νησία Τουρκς και Κάικος και τις νότιες Μπαχάμες.

Ακολουθεί ο Χοσέ

Η τροπική καταιγίδα Χοσέ, η οποία κατευθύνεται προς την Καραϊβική, ενισχύθηκε σε κυκλώνα χθες Τετάρτη και ενδέχεται η ένταση του φαινομένου να αυξηθεί ακόμη περισσότερο, φθάνοντας στην κατηγορία 3 της πεντάβαθμης κλίμακας Σαφίρ-Σίμσον αύριο Παρασκευή, ανακοίνωσε το αμερικανικό Εθνικό Κέντρο Κυκλώνων (NHC).

Το «μάτι» του κυκλώνα βρίσκεται 1.675 χιλιόμετρα ανατολικά των Μικρών Αντιλλών, με ανέμους 120 χλμ. την ώρα (σ.σ. κατηγορία 1) και μετακινείται 26 χιλιόμετρα ανά ώρα προς δυτικά-βορειοδυτικά, σύμφωνα με νεότερο δελτίο του NHC στις 00:00 (ώρα Ελλάδας).

Οι Μικρές Αντίλλες ήδη πλήττονται από τον κυκλώνα Ίρμα —κατηγορίας 5— ο οποίος απειλεί τα νησιά της Καραϊβικής και τη Φλόριντα.



Παράλληλα και η τροπική καταιγίδα Κάτια μετατράπηκε σε κυκλώνα στον Κόλπο του Μεξικού, ανακοίνωσαν οι αμερικανοί μετεωρολόγοι.

Ο νέος κυκλώνας απέχει 295 χλμ. ανατολικά του Ταμπίκο του Μεξικού, με ανέμους μέγιστης ταχύτητας 120 χλμ. ανά ώρα. Αναμένεται να ενισχυθεί μέσα στις επόμενες 48 ώρες, σύμφωνα με το NHC.

Τα μοντέλα των αμερικανών μετεωρολόγων πάντως υποδεικνύουν ότι αυτός ο κυκλώνας θα παραμείνει στο νότιο τμήμα του Κόλπου τις επόμενες ημέρες. 

Την ίδια ώρα, ο υπουργός Εσωτερικών της Ολλανδίας χαρακτήρισε τον καταστροφικό κυκλώνα Ίρμα ως ένα καιρικό φαινόμενο «έντασης που δεν έχει προηγούμενο στον Ατλαντικό», ενώ οι υλικές ζημιές τις οποίες προκάλεσε στο γαλλο-ολλανδικό νησί του Αγίου Μαρτίνου είναι τεράστιες.



«Οι ζημιές είναι τεράστιες» κι ακόμη δεν έχει υπάρξει ολοκληρωμένη αποτίμησή τους, τόνισε μιλώντας στα μικρόφωνα ολλανδικών ΜΜΕ ο Ρόναλντ Πλάστερκ, στον οποίο έχει ανατεθεί ο συντονισμός των επιχειρήσεων αρωγής εξ ονόματος της ολλανδικής κυβέρνησης.

Λόγω των «δυσκολιών στην επικοινωνία» με το νησί είναι «αδύνατο αυτή τη στιγμή να έχουμε πλήρη εικόνα για την κατάσταση», συνέχισε ο υπουργός και διευκρίνισε ότι ακόμη αγνοεί «αν υπάρχουν τραυματίες ή νεκροί».

Τα κέντρα υποδοχής του ολλανδικού Ερυθρού Σταυρού ήταν χθες βράδυ κατάμεστα, καθώς πήγαν σε αυτά πολλοί περισσότεροι από όσους χωρούν όταν αναγκάστηκαν να φύγουν από τις εστίες τους. Εξαιτίας των βλαβών στο δίκτυο τηλεφωνίας λόγω του κυκλώνα, ο ολλανδικός Ερυθρός Σταυρός δεν είναι σε θέση να αποτιμήσει τον αριθμό των ανθρώπων που εγκατέλειψαν τα σπίτια τους, σημείωσε εκπρόσωπός του.



Το λιμάνι και το αεροδρόμιο στο ολλανδικό τμήμα του νησιού του Αγίου Μαρτίνου υπέστησαν μεγάλες καταστροφές, σύμφωνα με το ολλανδικό πρακτορείο ειδήσεων.

Ισχυρές βροχοπτώσεις αναμένεται να συνεχίσουν να εκδηλώνονται τις επόμενες ώρες και αυτές ενδέχεται να προκαλέσουν κατολισθήσεις, γεγονός που θα σημάνει «επιπρόσθετες επιπλοκές», σύμφωνα με τον Ερυθρό Σταυρό.

Ο πρωθυπουργός της Ολλανδίας Μαρκ Ρούτε χαρακτήρισε «φρικτές» τις «πληροφορίες και τις εικόνες» που φθάνουν στη χώρα από τα εδάφη του βασιλείου στην Καραϊβική τα οποία επλήγησαν από τον κυκλώνα Ίρμα.



Γνωστοποίησε ότι εάν το επιτρέψουν οι καιρικές συνθήκες, δύο πλοία του ολλανδικού Πολεμικού Ναυτικού θα σταλούν από το Κουρασάο και την Αρούμπα για να μεταφέρουν στρατιώτες και ανθρωπιστική βοήθεια στον Άγιο Μαρτίνο.

Ήδη περίπου εκατό στρατιωτικοί, που εστάλησαν στην περιοχή ενόψει της καταστροφής, κάνουν περιπολίες για να «πάρουν μια ιδέα για την κατάσταση», πρόσθεσε.

Σε μια ανάρτησή τους στον ιστότοπο κοινωνικής δικτύωσης Facebook ο βασιλιάς της Ολλανδίας Βίλεμ-Αλεξάντερ και η βασίλισσα Μάξιμα απευθύνθηκαν στους κατοίκους του Αγίου Μαρτίνου, του Αγίου Ευσταθίου και του Σάμπα, που «επλήγησαν από μια καταστροφική δύναμη της φύσης».

«Όλα τα θύματα του κυκλώνα Ίρμα βρίσκονται στις καρδιές μας», ανέφεραν.




Οι περισσότεροι κάτοικοι της Αντίγκουα και Μπαρμπούντα έμειναν χωρίς ηλεκτρικό ρεύμα και πάνω από 1.000 άνθρωποι πέρασαν την νύχτα τους σε προσωρινά καταφύγια.  «Είναι τρομακτικό. Τα περισσότερα νησιά είναι στο σκοτάδι. Είναι πολύ, πολύ τρομακτικό», δήλωσε κάτοικος. 

Το μέγεθος της καταστροφής,  καθώς και ο αριθμός θυμάτων -αν υπάρχουν- ακόμη δεν έχουν γίνει γνωστά. Σύμφωνα με την αστυνομία, ένας 75χρονος πέθανε σε ορεινή περιοχή του Πουέρτο Ρίκο, προετοιμαζόμενος για τον κυκλώνα.  Ο κυκλώνας θα συνεχίσει την επέλασή του, περνώντας από το Πουέρτο Ρίκο, τη Δομινικανή Δημοκρατία, την Αϊτή και την Κούβα, προτού -πιθανότατα- καταλήξει στη Φλόριντα το Σαββατοκύριακο. 



Η Ίρμα θα περάσει κοντά ή στα βόρεια της Δομινικανής Δημοκρατίας σήμερα. Κατόπιν αναμένεται να πλήξει τα νησιά Τερκς και Κάικος και τις νοτιοανατολικές Μπαχάμες.

Θύμα του κυκλώνα έπεσε και ο πολυεκατομμυριούχος Ρίτσαρντ Μπράνσον, στο ιδιωτικό νησί του στις βρετανικές Παρθένους Νήσους.

Το Νέκερ είναι ένα μικρό νησί της Καραϊβικής που ανήκει στον ιδιοκτήτη του ομίλου Virgin και φιλοξενεί συχνά διασημότητες αλλά και τουρίστες, στις πολυτελείς εγκαταστάσεις του.

Σύμφωνα με ανάρτησή του γιου του στο Instagram όλοι οι άνθρωποι που βρίσκονταν στο νησί Νέκερ είναι καλά στην υγεία τους αν και τα περισσότερα κτήρια έχουν καταστραφεί. Παράλληλα απηύθυνε έκκληση σε όσους βρίσκονται στο πέρασμα του τυφώνα να μην το πάρουν ελαφρά τη καρδία. Νωρίτερα ο Μπράνσον διαβεβαίωνε ότι τα κτίρια είναι ικανά να αντέξουν τις ακραίες συνθήκες "αν και δεν υπάρχουν πολλά πράγματα που θα μπορούσαν να αντισταθούν σε έναν κυκλώνα κατηγορίας 5".


Ο Μπράνσον, που είναι γνωστός ακτιβιστής για την προστασία του περιβάλλοντος και των ωκεανών, σημείωσε επίσης ότι «ένας παράγοντας κλειδί που οδηγεί στην ενίσχυση του μεγέθους των κυκλώνων είναι η κλιματική αλλαγή που προκαλείται από τον άνθρωπο» και πρόσθεσε: «Οι ζημιές που προκάλεσε ο Χάρβεϊ στο Τέξας είναι μια τραγική και δαπανηρή υπενθύμιση της κλιματικής αλλαγής».


Στο «μάτι» ξανά οι ΗΠΑ - Σε συναγερμό η Φλόριντα

Οι ΗΠΑ βρίσκονται ξανά στο «μάτι» ενός νέου τυφώνα, πριν προλάβουν να συνέλθουν από το καταστροφικό περασμα του «Χάρβεϊ» στο Τέξας, που στοίχισε τη ζωή τουλάχιστον 42 ανθρώπων και προκάλεσε ζημιές που εκτιμώνται στα 180 εκατομμύρια δολάρια. 

Ο πρόεδρος των ΗΠΑ Ντόναλντ Τραμπ ενέκρινε χθες την κήρυξη κατάστασης έκτακτης ανάγκης στη Φλόριντα, το Πουέρτο Ρίκο και τις Παρθένες Νήσους, για να διευκολυνθεί η κινητοποίηση ομοσπονδιακών πόρων για την αντιμετώπιση του ακραίου φαινομένου πριν ακόμη πληγούν η Πολιτεία κι οι αμερικανικές περιοχές αυτές.

Την ίδια ώρα ετοιμάζεται να κλείσει το βράδυ και το διεθνές αεροδρόμιο Key West της Φλόριντα εν αναμονή του τυφώνα, όπως ανακοίνωσαν οι Αρχές του αεροδρομίου.  Η τελευταία πτήση της Delta Airlines αναμένεται να αναχωρήσει για την Ατλάντα. 

Οι κάτοικοι στο Μαϊάμι και στις άλλες παράκτιες περιοχές της Φλόριντα, έχουν ειδοποιηθεί να προφυλάξουν τις περιουσίες τους και να προμηθευτούν με τα απαραίτητα αγαθά πρώτης ανάγκης, ενώ έχει δοθεί οδηγία να είναι σε επιφυλακή καθώς αναμένεται να δοθεί ειδοποίηση για μεταφορά στα καταφύγια.
Ακολουθήστε το protothema.gr στο Google News και μάθετε πρώτοι όλες τις ειδήσεις

Δείτε όλες τις τελευταίες Ειδήσεις από την Ελλάδα και τον Κόσμο, τη στιγμή που συμβαίνουν, στο Protothema.gr

ΡΟΗ ΕΙΔΗΣΕΩΝ

Ειδήσεις Δημοφιλή Σχολιασμένα
δειτε ολες τις ειδησεις

ΤΑ ΠΙΟ ΔΗΜΟΦΙΛΗ

Best of Network

Δείτε Επίσης