Ο τυφώνας Μελίσα ενισχύεται δραματικά με ανέμους 300 χλμ/ώρα: «Τελευταία ευκαιρία να προστατεύσετε τη ζωή σας»
Σχεδόν 250.000 άνθρωποι χωρίς ρεύμα - Η ένταση των ανέμων καθιστά τη Μελίσα τη δεύτερη ισχυρότερη καταιγίδα στην ιστορία του Ατλαντικού, μετά τον τυφώνα Άλεν του 1980 - Δείτε live
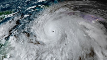
Ο τυφώνας Μελίσα συνεχίζει να ενισχύεται όσο πλησιάζει την Τζαμάικα, με σταθερούς ανέμους που αγγίζουν τα 300 χιλιόμετρα την ώρα στο κέντρο του, σύμφωνα με το Εθνικό Κέντρο Τυφώνων των ΗΠΑ.
Η ένταση των ανέμων καθιστά τη Μελίσα τη δεύτερη ισχυρότερη καταιγίδα στην ιστορία του Ατλαντικού, μετά τον τυφώνα Άλεν του 1980, ο οποίος είχε φτάσει τα 305 χιλιόμετρα την ώρα. Οι Αρχές προειδοποιούν τους κατοίκους να καταφύγουν άμεσα σε ασφαλή καταφύγια και να τοποθετήσουν όσο το δυνατόν περισσότερους τοίχους ανάμεσα στους ίδιους και τον εξωτερικό χώρο. «Αυτή είναι η τελευταία ευκαιρία να προστατεύσετε τη ζωή σας» αναφέρεται χαρακτηριστικά στην ανακοίνωση του Κέντρου.
Ο Έβαν Τόμσον, διευθυντής της Μετεωρολογικής Υπηρεσίας της Τζαμάικα, λέει ότι ο τυφώνας θα προκαλέσει «απειλητικές για τη ζωή ζημιές» όταν φτάσει. «Είναι πολύ λίγα τα πράγματα που μπορούν να σταματήσουν έναν τυφώνα κατηγορίας 5» λέει, προσθέτοντας ότι η καταιγίδα απέχει περίπου 75 χιλιόμετρα (46 μίλια) από την άφιξή της. Ο ίδιος τόνισε ότι ο τυφώνας είναι πιθανό να φτάσει στην ξηρά στο Westmoreland ή στο St Elizabeth, στη δυτική ακτή της Τζαμάικα, προτού σταδιακά εξασθενήσει στην κατηγορία τέσσερα καθώς θα διασχίζει το νησί.
Δείτε live:
Σύμφωνα με τα τελευταία δορυφορικά δεδομένα, το «μάτι» του τυφώνα άρχισε να κινείται πάνω από τις νότιες ακτές της Τζαμάικας. Η ζώνη του ματιού (eyewall), όπου καταγράφονται οι ισχυρότεροι άνεμοι - έως και 290 χιλιόμετρα την ώρα -, αναμένεται να προκαλέσει εκτεταμένες καταστροφές καθώς περνάει πάνω από το νησί.
Ο τυφώνας αναμένεται να πλήξει τη στεριά όταν το κέντρο του ματιού περάσει εξ ολοκλήρου πάνω από την ακτή, κάτι που αναμένεται να συμβεί μέσα στις επόμενες ώρες, προκαλώντας φόβους για σοβαρές ζημιές σε υποδομές και δίκτυα ενέργειας.
Σχεδόν 250.000 άνθρωποι έχουν μείνει χωρίς ρεύμα στην Τζαμάικα, σύμφωνα με τον υπουργό Ενέργειας της χώρας. «Το ηλεκτρικό δίκτυο έχει ήδη πληγεί από τις συνθήκες του τυφώνα, προκαλώντας αρκετές διακοπές ρεύματος σε όλο το νησί» δήλωσε ο Daryl Vaz σε συνέντευξη Τύπου.
Την ίδια ώρα, ο μετεωρολόγος Τζέρεμι ΝτεΧάρτ ανάρτησε βίντεο στο Χ από το εσωτερικό του τεράστιου «ματιού» του τυφώνα.
From a crewmember on yesterday's Teal 74 mission into now-Category 5 Hurricane #Melissa. As clear of an eye as you will see in the Atlantic basin. pic.twitter.com/5tktvvrIR1
Την Παγκόσμια Ημέρα Νερού, κάθε σταγόνα φυσικό μεταλλικό νερό ΒΙΚΟΣ μας θυμίζει ότι η ενυδάτωση δεν είναι μόνο καθημερινή συνήθεια, αλλά μια πράξη φροντίδας για τον οργανισμό και τη φύση.
Οι καινοτόμες φόρμουλες της LA VIE EN ROSE χαρίζουν μια μοναδική εμπειρία απόλαυσης και αναζωογόνησης – Τα premium πασχαλινά δώρα με πραγματική αξία και ορατά αποτελέσματα.
Οι πρόσφατοι ηλεκτρονικοί έλεγχοι για τα ανασφάλιστα οχήματα ανέδειξαν το πρόβλημα με τον πιο ξεκάθαρο τρόπο. Χιλιάδες ιδιοκτήτες οχημάτων εντοπίστηκαν να κυκλοφορούν χωρίς ασφάλιση, κάτι που δεν επηρεάζει μόνο τους ίδιους, αλλά συνολικά την ασφάλεια στους ελληνικούς δρόμους. Και αυτό ενώ η λύση είναι και απλή και προφανής.