Τυφώνας Ντόριαν: Πλησιάζει απειλητικά τις Μπαχάμες αλλά μπορεί να παρακάμψει τη Φλόριντα

Τυφώνας Ντόριαν: Πλησιάζει απειλητικά τις Μπαχάμες αλλά μπορεί να παρακάμψει τη Φλόριντα

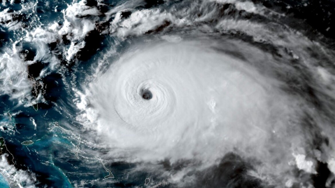
Νωρίς το πρωί ο Ντόριαν και οι άνεμοί του κινούνταν με ταχύτητα έως 240 χλμ. την ώρα για να φθάσουν στο βορειοδυτικό τμήμα του νησιωτικού συμπλέγματος εντός της ημέρας

Τυφώνας Ντόριαν: Πλησιάζει απειλητικά τις Μπαχάμες αλλά μπορεί να παρακάμψει τη Φλόριντα
Ο τυφώνας Ντόριαν, που πλέον είναι στην κατηγορία 4 πεντάβαθμης κλίμακας, πλησιάζει σήμερα εξαιρετικά απειλητικά τις Μπαχάμες, αλλά μπορεί να μην πλήξει τη Φλόριντα.

Σύμφωνα με τις τελευταίες προβλέψεις του Εθνικού Κέντρου Τυφώνων (NHC) των ΗΠΑ, νωρίς το πρωί ο Ντόριαν και οι άνεμοί του κινούνταν με ταχύτητα έως 240 χλμ. την ώρα για να φθάσουν στο βορειοδυτικό τμήμα του νησιωτικού συμπλέγματος εντός της ημέρας.

Στη συνέχεια, ο Ντόριαν αναμένεται να προσεγγίσει την ανατολική ακτή της Φλόριντα το βράδυ της Δευτέρας και την Τρίτη, αλλά είναι δύσκολο να προβλεφθεί με ποια σφοδρότητα θα πλήξει το "Sunshine State", όπως είναι το προσωνύμιο της πολιτείας, μετά την αλλαγή πορείας του τυφώνα.

"Κινείται συνεχώς, είναι πολύ δύσκολο να γίνουν προβλέψεις", έγραψε ο πρόεδρος των ΗΠΑ Ντόναλντ Τραμπ σε μήνυμά του στο Twitter, υπογραμμίζοντας ότι η Τζόρτζια, η Νότια Καρολίνα και η Βόρεια Καρολίνα πιθανόν θα βρεθούν στην πρώτη γραμμή στα μέσα της προσεχούς εβδομάδας.

Σύμφωνα με το NHC, ο τυφώνας αναμένεται να πλήξει σήμερα τα νησιά Γκραντ Μπαχάμα και Αμπάκο στο βορειοδυτικό τμήμα του νησιωτικού συμπλέγματος. "Καταστροφικοί άνεμοι" αναμένεται να προβλεφθούν, προειδοποίησε.

"Ο κόσμος προετοιμάζεται από την Τετάρτη", εξήγησε στο Γαλλικό Πρακτορείο η Γιασμίν Ρίγκμπι, που ζει στο Φρίπορτ του Γκραντ Μπαχάμα, λέγοντας ότι οι μνήμες από τους τυφώνες Φράνσις και Τζιν (2004) και Βίλμα (2005) είναι ακόμη πολύ νωπές.





"Να είστε προσεκτικοί"


Κλείσιμο
Ο πρωθυπουργός Χάμπερτ Μίνις απηύθυνε έκκληση για κινητοποίηση. "Αυτοί που δεν θέλουν να απομακρυνθούν από τις εστίες τους θέτουν τη ζωή τους σε μεγάλο κίνδυνο. Σας παρακαλώ: μην προσπαθήσετε να τα βάλετε με τον τυφώνα".

"Ο κόσμος ανησυχεί για την άνοδο της στάθμης των νερών, όλα είναι τόσο επίπεδα στις Μπαχάμες", υπογράμμιζε η Λούσι Γουόρμποϊς, κάτοικος της πρωτεύουσας Νασάου.

Ο Τραμπ, που ακύρωσε το ταξίδι που επρόκειτο να πραγματοποιήσει στην Πολωνία αυτό το Σαββατοκύριακο, παρακολουθεί την εξέλιξη της κατάστασης από το γήπεδο του γκολφ που έχει στη Βιρτζίνια, στις όχθες του ποταμού Ποτόμακ, πριν μεταβεί στο Καμπ Ντέιβιντ το βράδυ". "Είναι ένας από τους ισχυρότερους τυφώνες εδώ και δεκαετίες. Να είστε προσεκτικοί!", δήλωσε.

Ο κυβερνήτης της Νότιας Καρολίνας Χένρι Μακ Μάστερ κήρυξε κατάσταση έκτακτης ανάγκης στην πολιτεία του. "Η δύναμη και ο απρόβλεπτος χαρακτήρας της καταιγίδας μάς υποχρεώνει να προετοιμαστούμε για όλα τα σενάρια", υπογράμμισε.

Η κατάσταση έκτακτης ανάγκης είχε ήδη κηρυχθεί στη Φλόριντα και σε δώδεκα κομητείες της πολιτείας Τζόρτζια. Το μέτρο αυτό επιτρέπει την καλύτερη κινητοποίηση των δημοσίων υπηρεσιών της πολιτείας όπως και τη χρήση ομοσπονδιακής βοήθειας σε περίπτωση που χρειαστεί.

Αν μια κάποια ανακούφιση επικρατεί στο Μαϊάμι, ο Ρον ΝτεΣάντις ζήτησε από τους κατοίκους να "παραμένουν σε ετοιμότητα".

"Είμαι επιφυλακτικός γιατί αυτό μπορεί να εξελιχθεί ακόμη, μέσα σε 12 ή 24 ώρες προτού ο τυφώνας φθάσει στην ακτή, όλα μπορεί να αλλάξουν. Καλύτερα να προετοιμαστώ παρά να περιμένω χωρίς να κάνω τίποτε", είπε ο 30χρονος Ντέιβιντ Ντούκε που ζει στη Φλόριντα τα τελευταία 15 χρόνια.

Η Φλόριντα, που αποτελείται κυρίως από μια χερσόνησο στο νοτιοανατολικό τμήμα των ΗΠΑ, βρίσκεται κάθε χρόνο στην πρώτη γραμμή την εποχή των τυφώνων. Με ένα πολύ επίπεδο ανάγλυφο, οι παράκτιες περιοχές της απειλούνται κυρίως από την άνοδο της στάθμης των νερών, και καθώς η μορφολογία του εδάφους της χαρακτηρίζεται από χαμηλά υψόμετρα, η μεγαλύτερη απειλή για τους κατοίκους είναι οι πλημμύρες.




Κατάσταση έκτακτης ανάγκης


Οι τελευταίες προβλέψεις απομακρύνουν την προοπτική σοβαρών ζημιών στο επίπεδο του παραθαλάσσιου θερέτρου West Palm Beach, όπου ο Τραμπ έχει τη διάσημη λέσχη γκολφ του Μαρ-α-Λάγκο, που αποκαλεί "χειμερινό Λευκό Οίκο" του.

Αυτή η γεωγραφική εγγύτητα έδωσε την ευκαιρία στην πρώην πρωθυπουργό του Καναδά να κάνει ένα σκωπικό σχόλιο προς τον ρεπουμπλικανό δισεκατομμυριούχο. "Ονειρεύομαι ένα μετωπικό χτύπημα (του τυφώνα) με το Μαρ-α-Λάγκο", έγραψε η Κιμ Κάμπελ στο Twitter, υπενθυμίζοντας ότι ο Τραμπ αρνείται την κλιματική αλλαγή.

"Το Μαρ-α-Λάγκο μπορεί να διαχειριστεί μόνο του την κατάσταση. Είναι ένας πολύ ισχυρός τόπος. Αυτό που με ανησυχεί είναι η πολιτεία της Φλόριντα", δήλωσε ο πρόεδρος των ΗΠΑ το βράδυ της Παρασκευής.

Σύμφωνα με έναν συντονιστή των υπηρεσιών διάσωσης, 12.000 στρατιώτες βρίσκονται στη Φλόριντα αναμένοντας την έλευση του Ντόριαν.

Το αεροδρόμιο του Ορλάντο, όπου καταφθάνουν οι τουρίστες που θέλουν να επισκεφθούν το Disney World, προβλέπεται να κλείσει το πρωί της Δευτέρας, από τις 09.00 ώρα Ελλάδας.

Πηγή: ΑΠΕ-ΜΠΕ
Ακολουθήστε το protothema.gr στο Google News και μάθετε πρώτοι όλες τις ειδήσεις

Δείτε όλες τις τελευταίες Ειδήσεις από την Ελλάδα και τον Κόσμο, τη στιγμή που συμβαίνουν, στο Protothema.gr

ΡΟΗ ΕΙΔΗΣΕΩΝ

Ειδήσεις Δημοφιλή Σχολιασμένα
δειτε ολες τις ειδησεις

ΤΑ ΠΙΟ ΔΗΜΟΦΙΛΗ

Best of Network

Δείτε Επίσης