Ντόριαν

Όλα τα άρθρα του tag Ντόριαν

Μάικλ Τζόρνταν: Δωρεά 1.000.000 δολαρίων στις Μπαχάμες

Ο θρύλος του NBA, και του παγκόσμιου μπάσκετ, Μάικλ Τζόρνταν, έδειξε το ανθρώπινο πρόσωπό του και προχώρησε σε δωρεά ύψους ενός εκατομμυρίου δολαρίων στις Μπαχάμες που επλήγησαν προσφάτως από τον τυφώνα Ντόριαν

Κυκλώνας Ντόριαν: Δραματικός ο απολογισμός - Στους 45 οι νεκροί

Περισσότερο από μια εβδομάδα μετά το πέρασμα του κυκλώνα Ντόριαν, το βόρειο τμήμα του αρχιπελάγους παραμένει βυθισμένο στο χάος - Προτεραιότητα εξακολουθεί να είναι η απομάκρυνση των κατοίκων από τις περιοχές που έχουν υποστεί τις μεγαλύτερες καταστροφές

Έκκληση του πρώην ΝΒΑer Ρικ Φοξ για βοήθεια στις Μπαχάμες

Ο πρώην άσος των Μπόστον Σέλτικς και Λος Άντζελες Λέικερς, Ρικ Φοξ, με καταγωγή από τις Μπαχάμες έκανε έκκληση για βοήθεια προς τη χώρα η οποία παερνάει δραματικές στιγμές μετά την επέλαση του τυφώνα Ντόριαν

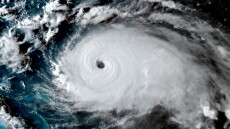
Ντόριαν: O πιο σφοδρός τυφώνας «σαρώνει» τις Μπαχάμες - Δείτε live πού χτυπάει

Με κατακλυσμιαίες βροχές και ανέμους που φθάνουν τα 280 χιλιόμετρα την ώρα - Για «καταστροφικές συνθήκες» που επικρατούν στο βόρειο-δυτικό τμήμα του αρχιπελάγους μιλά το Εθνικό Αμερικανικό Κέντρο για τους Τυφώνες - Στο μάτι του κυκλώνα το νησί Αμπάκο - Μετατράπηκε στον πιο σφοδρό τυφώνα της σύγχρονης ιστορίας της περιοχής» , δήλωσε ο διευθυντής του Κέντρου 

17