Ο κυκλώνας Ντόριαν ενισχύθηκε στην κατηγορία «5» και φτάνει στις Μπαχάμες
Συνοδεύεται από ανέμους που πνέουν με ταχύτητα 260 χιλιομέτρων την ώρα - Oι αρχές απευθύνουν έκκληση στους κατοίκους να προστατευθούν - 73.000 άνθρωποι και 21.000 σπίτια κινδυνεύουν
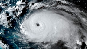
Ο κυκλώνας Ντόριαν ενισχύθηκε περαιτέρω και βρίσκεται πλέον στην κατηγορία 5 της πεντάβαθμης κλίμακας Σαφίρ-Σίμσον, καθώς πλησιάζει τις Μπαχάμες.
Ο πρωθυπουργός της χώρας, Χιούμπερτ Μίνις, απηύθυνε έκκληση στους κατοίκους των νησιών Αμπάκο και Γκραν Μπαχάμα να κατευθυνθούν στο κεντρικό νησί για να γλιτώσουν από μια "καταστροφική, επικίνδυνη" καταιγίδα που αναμένεται ότι θα πλήξει τις Μπαχάμες με ιδιαίτερη σφοδρότητα, με καταρρακτώδεις βροχές, ισχυρούς ανέμους και ψηλά κύματα, προτού να κατευθυνθεί στις ΗΠΑ.
"Θέλω να θυμάστε: τα σπίτια, τα κτίρια, μπορούν να αντικατασταθούν. Οι ζωές όχι", είπε στη συνέντευξη Τύπου που παραχώρησε, προειδοποιώντας ότι 73.000 άνθρωποι και 21.000 σπίτια κινδυνεύουν.
Το Εθνικό Κέντρο Τυφώνων (NHC) που εδρεύει στο Μαϊάμι ανακοίνωσε ότι ο Ντόριαν συνοδεύεται από ανέμους που πνέουν με ταχύτητα 260 χιλιομέτρων την ώρα και απέχει περίπου 55 χιλιόμετρα ανατολικά του Αμπάκο.
Αφού περάσει από τις Μπαχάμες, ο κυκλώνας αναμένεται ότι θα στραφεί στα βορειοδυτικά και ενδέχεται να μην πλήξει άμεσα τη Φλόριντα. Βορειότερα, στην Τζόρτζια και τη Νότια Καρολίνα, πολλές παράκτιες κοινότητες έχουν σημάνει συναγερμό, με τους κατοίκους να γεμίζουν σάκους με άμμο και τις αρχές να ελέγχουν την αντοχή των υποδομών.
Οι περισσότεροι τουρίστες έφυγαν από τις Μπαχάμες προτού να κλείσει το διεθνές αεροδρόμιο, τη νύχτα της Παρασκευής. Η Γκραν Μπαχάμα και τα νησιά Αμπάκο προσελκύουν μεγάλο αριθμό επισκεπτών κάθε χρόνο, όμως μετά τις εκκενώσεις των προηγούμενων ημερών στην Γκραν Μπαχάμα έχουν απομείνει μόλις 26 τουρίστες.
Στο μεταξύ, μια νέα τροπική καταιγίδα σχηματίστηκε στα νοτιοδυτικά του Μεξικού και αναμένεται να ενισχυθεί αύριο. Η τροπική καταιγίδα Τζουλιέτ απέχει 735 χιλιόμετρα από το Μανσανίγιο του Μεξικού και συνοδεύεται από ανέμους ταχύτητας 75 χιλιομέτρων την ώρα.
Το Αμερικανικό Κολλέγιο Ελλάδος υπέβαλε επίσημα αίτηση για την ίδρυση του Deree University - Τι σημαίνει αυτό για τους υποψήφιους φοιτητές και φοιτήτριες που θέλουν ένα πτυχίο, το οποίο θα αναγνωρίζει επαγγελματικά και ακαδημαϊκά δικαιώματα στην Ελλάδα και το εξωτερικό.
Στη νέα της καμπάνια, η MISKO εμπνέεται από τις μικρές στιγμές της καθημερινότητας όπου οι άνθρωποι, παρά τις διαφορές τους, βρίσκουν τρόπους να συνδεθούν γύρω από ένα πιάτο ζυμαρικών. Ένα δέσιμο που γίνεται και τίτλος της: «Όλη η νοστιμιά είναι στο δέσιμο»