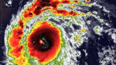
Ο τυφώνας Μπερίλ αναβαθμίστηκε επικίνδυνα στα Μπαρμπέιντος Η ταχύτητα των ανέμων φτάνει τα 155 χιλιόμετρα την ώρα 30.06.2024, 15:43
«Αφήστε τον να φύγει»: Βρετανίδα μάχεται για να διακοπεί η μηχανική υποστήριξη στον γιο της Το αγόρι είναι εγκεφαλικά νεκρό, όμως η νομοθεσία των Μπαρμπέιντος απαγορεύει τη διακοπή της μηχανικής υποστήριξης εάν συνεχίζει να χτυπά η καρδιά 14.01.2023, 15:41
Το Μπαρμπέιντος έκοψε τον «ομφάλιο λώρο» με το βρετανικό στέμμα και ανακήρυξε εθνική ηρωίδα τη Ριάνα Το νησί απέκτησε τον τίτλο της νεότερης δημοκρατίας στον κόσμο - Παρόντες στην εντυπωσιακή τελετή ο πρίγκιπας Κάρολος και η σταρ της ποπ 30.11.2021, 12:10 11
Ιστορική απόφαση: Τα Μπαρμπέιντος καταργούν την Ελισάβετ από επικεφαλής του κράτους Η κυβέρνηση ανακοίνωσε ότι τα Μπαρμπέιντος θα γίνουν Δημοκρατία – «Ήρθε η ώρα να αφήσουμε πίσω μας το αποικιακό παρελθόν μας» 16.09.2020, 13:38 1